$ 189,000 253 1ST Avenue

This listing presented by Lorne Ayers. Contact Lorne by phone: (250) 860-1100 or email direct here.

Listing Info

Area: Burns Lake
Property Type: Vacant Land
MLS® Number: C8075044
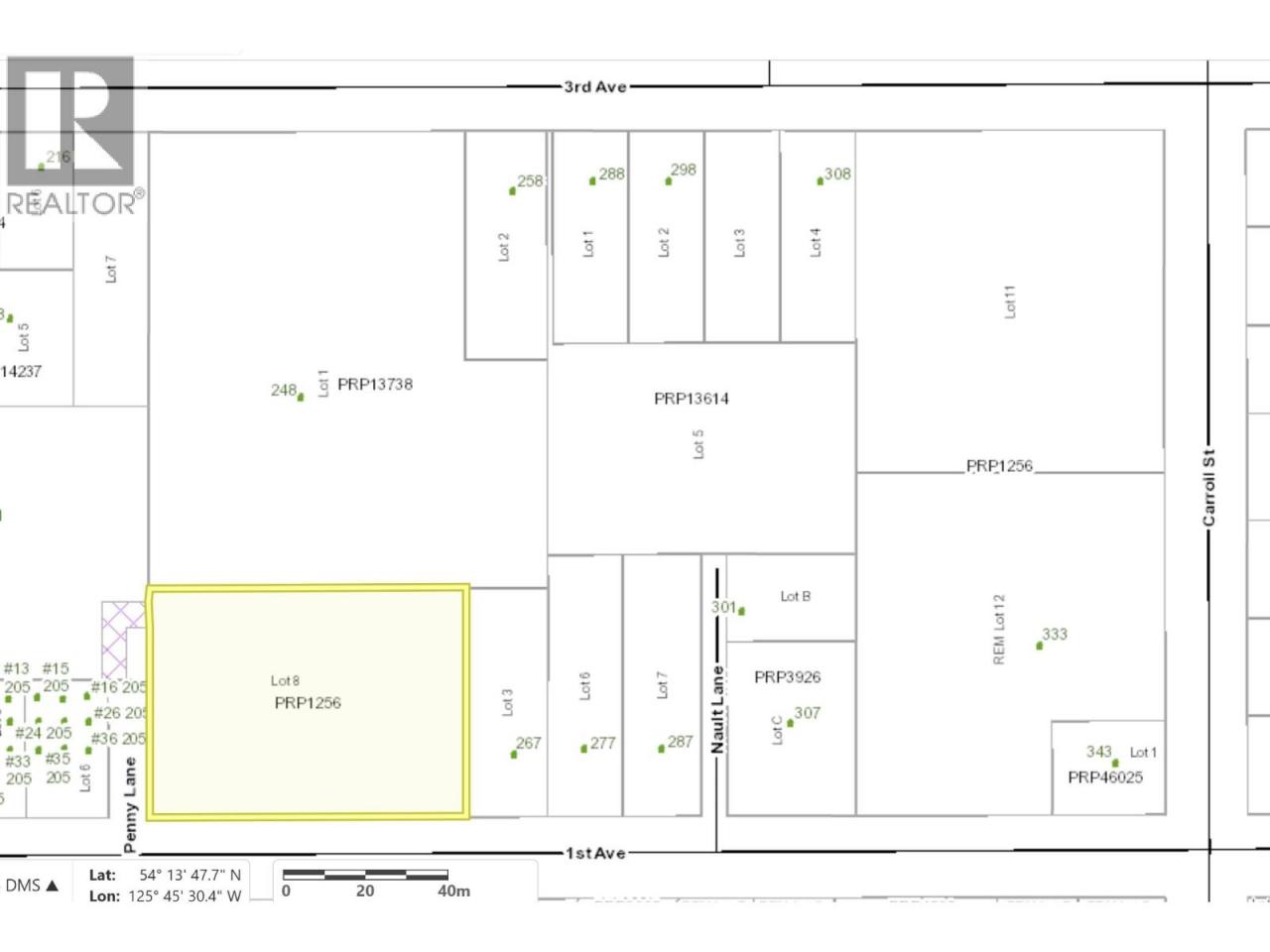
Lot Size: 1.07
Listing Status: Active
List Price: $ 189,000

Place Nearby (within radius 1.5 km)



0 BR / 0 BA Vacant Land – Burns Lake

What a property! The location of this 1.07 acre property is just steps to downtown and provides a view of the lake. Burns Lake is bustling, with development happening. Take advantage of this opportunity. As per Seller, this lot has been surveyed for 24 units (Buyer to verify for themselves), or build your dream home. Driveway up from 1st Ave. You'd be hard pressed to find a similar parcel offering what this one does for space, view, and location. Also on Residential -- see MLS# R3078610 (id:6769)

Construction Info


Rooms Dimension

Listing Agent:

Rod Walker
(250) 617-8090

Brokerage:

Royal LePage Aspire Realty
(250) 564-4488
MLS - Realtor Logo